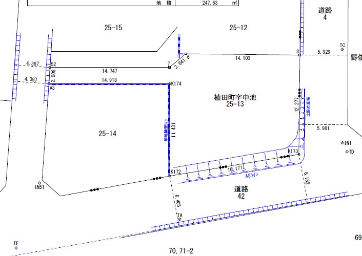
【土地売買】豊橋市植田町字中池
物件詳細
- 所在地
- 豊橋市植田町字中池
- 交通
- 豊橋鉄道渥美線「植田」徒歩13分
- 価格・坪単価
- 1,230万円・16.44万円/坪
- 土地面積
- 公簿247.45㎡
- 再適用途
- 住宅用地
- 土地権利
- 所有権
- 地目
- 宅地
- 都市計画
- 調整区域
- 用途地域
- 接道状況
- 角地:三方道路 南4.0m 接面16.0m 東4.5m 接面12.0m 西4.3m 接面2.0m
- 建ぺい率
- 60%
- 容積率
- 200%
- 現況
- 更地
- その他の法令上の制限
- 地勢
- 平坦
- 引渡
- 相談
- 備考
- ※25-3(雑種地、63㎡)の30分の1持分(所有権)の権利も一体の売買となります。







